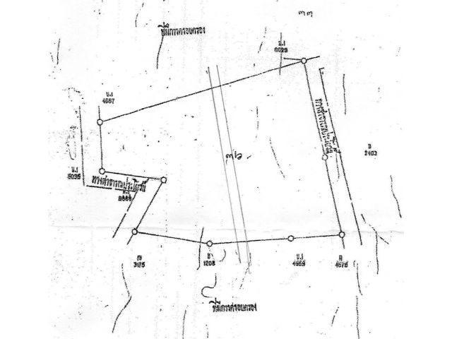
ที่ดินสวยใกล้นิคม
ราคา 32,250,000 บาท
ที่ดินสวยเหมาะสร้างโรงงาน ทำหมู่บ้าน สร้างโกดัง ใกล้นิคม ไฟฟ้า 3 เฟส ใกล้รพ.หนองใหญ่
จำนวน 45 ไร่ ไร่ละ 750,000 บาท
จำนวน 45 ไร่ ไร่ละ 750,000 บาท
รายละเอียดผู้ประกาศ
รายละเอียดประกาศ
หมายเลขประกาศ 3930376
23 ต.ค. 68 06:50 น.
เข้าชม 72 ครั้ง
เมนูการใช้งาน
คำเตือน
ประกาศที่ท่านเห็นอยู่นี้เป็นประกาศที่ผู้ต้องการซื้อขาย (อาจเป็นเจ้าของหรือนายหน้า) ได้นำเนื้อหาและรูปภาพมาลงไว้ด้วยตนเอง กรุณาตรวจสอบข้อมูลผู้ซื้อขาย และตรวจสอบอสังหาริมทรัพย์ก่อนทำการซื้อขายจริง ข้อมูล/รูปภาพผู้ประกาศจะรับผิดชอบทั้งหมด
ประกาศที่ท่านเห็นอยู่นี้เป็นประกาศที่ผู้ต้องการซื้อขาย (อาจเป็นเจ้าของหรือนายหน้า) ได้นำเนื้อหาและรูปภาพมาลงไว้ด้วยตนเอง กรุณาตรวจสอบข้อมูลผู้ซื้อขาย และตรวจสอบอสังหาริมทรัพย์ก่อนทำการซื้อขายจริง ข้อมูล/รูปภาพผู้ประกาศจะรับผิดชอบทั้งหมด
